La Confederación de Cámaras Nacionales de Comercio, Servicios y Turismo (CONCANACO SERVYTUR), a través de su presidente Octavio de la Torre, informó que aproximadamente 56 mil negocios familiares en Yucatán se encuentran en alerta debido a la proximidad del Huracán Beryl.
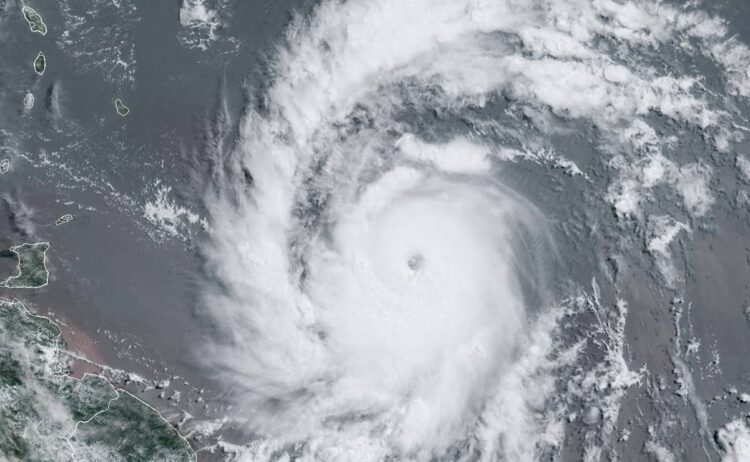
Y es que según los últimos datos del Centro Nacional de Huracanes (NHC, por sus siglas en inglés), la potencia del ciclón tropical ha ido en aumento durante la tarde de este lunes, alcanzando la categoría 5 en la escala Saffir-Simpson.
Las autoridades aseguran que de mantener su rumbo actual, Beryl tocará tierra en la Península de Yucatán en la noche del jueves o la madrugada del viernes como un huracán de categoría 1 o 2, por lo que es importante que los negocios puedan tomar las medidas necesarias para disminuir posibles riesgos.
De igual forma, el presidente del organismo cúpula, señaló que el impacto se cuantificará una vez pasado el fenómeno natural considerando los principales destinos turísticos del estado; situación que podría afectar al sector turístico por las vacaciones de verano.
El presidente, hizo un llamado urgente a los negocios familiares y a la población en general para que sigan las indicaciones de las autoridades de protección civil.
Es fundamental tomar las medidas oportunas para salvaguardar vidas y proteger bienes. Al recordar que el último fenómeno de huracán que afectó la región de Yucatán se presentó hace más de 20 años, lo que subraya la importancia de estar preparados y actuar con precaución.
“Recomendamos a todos los negocios familiares que refuercen sus instalaciones, aseguren documentos importantes y mantengan a su personal informado sobre los procedimientos de seguridad. La colaboración y la prevención son clave para minimizar los impactos de este fenómeno natural”, apuntó.
Además de informar a la ciudadanía que puede solicitar apoyo a la Unidad Estatal de Protección Civil, al 9-1-1 o al (Lada) 999 / 944-26-88 y 944-24-70 / 01-800-719-86-33 a efecto de que ante cualquier situación se pueda atender de manera oportuna.









